Skip To Content

1670 Heritage Rd.

Loris, SC 29569
  • $69,900
  • STATUS: Active Under Contract
  • ON SITE: 49 Days
  • MLS #: 2528456
Under Contract
UPDATED: 41 min ago
$69,900
  • 0
    BEDS
  • 0.51
    ACRES
  • 0
    BATHS
  • 0
    1/2 BATHS
Neighborhood:
Type:
Vacant Land / Lots
County:

School Information

Elementary School:
Middle School:
High School:

Description

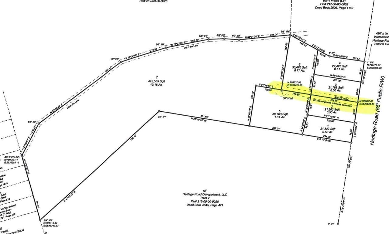
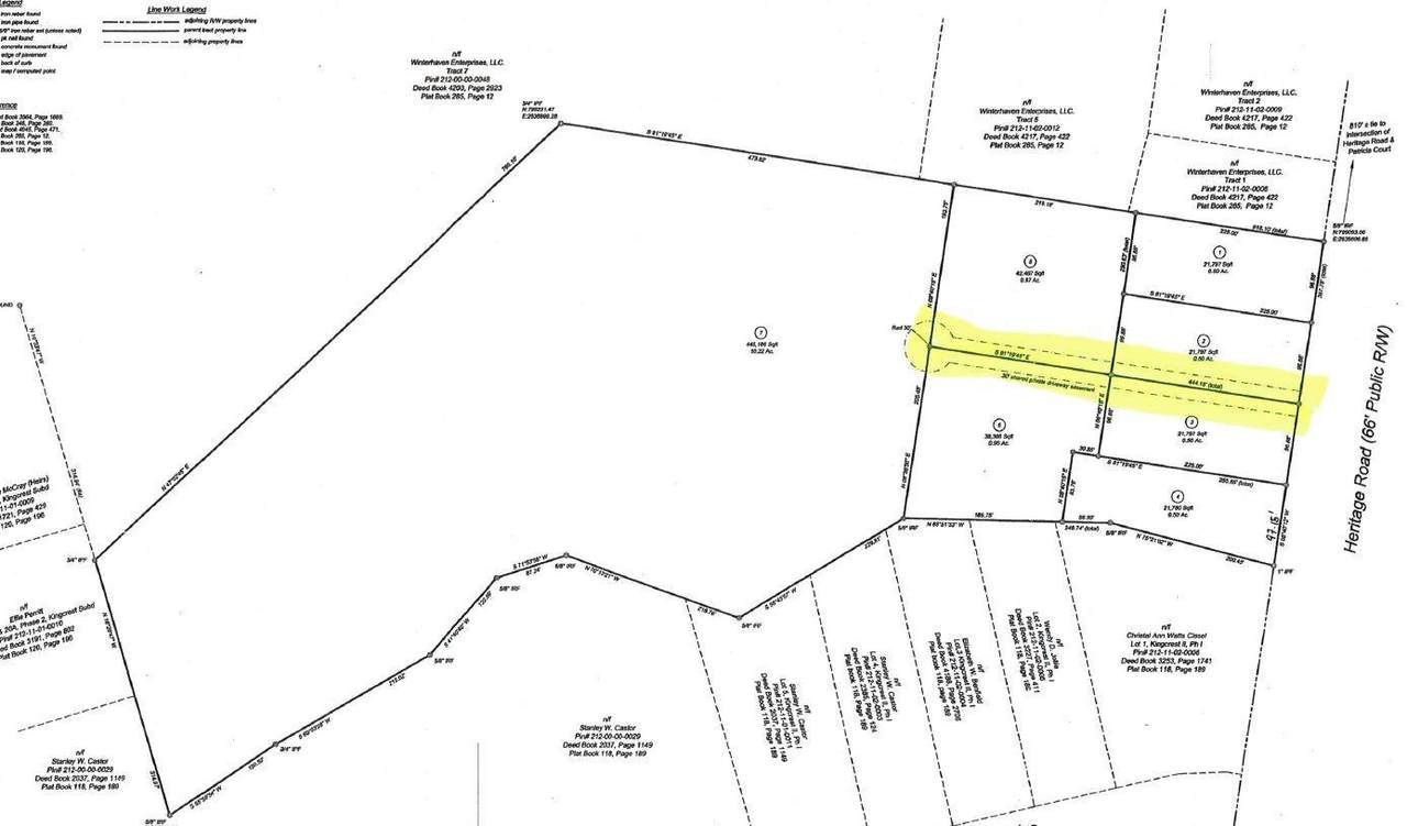
OFFERED FOR SALE: This Lot is a Total of approximately 0.51 Acres ready for Development. This Lot is located on Heritage Road in Loris, SC. This Lot has 99' of direct road frontage. Perfect for a Local Builder, or someone who would want a Large Country Lot. This Lot is located 3.10 Miles to Highway 9, and 3.4 Miles to the Heart of Downtown Loris. Easements are in place for access to the back lots, as well as for underground utilities. Grand Strand Water and Sewer Would provide service that does not require a Lift Station.

Monthly Payment Calculator



Coastal Carolina Association of Realtors logo© 2026 Coastal Carolinas Association of REALTORS® MLS. All rights reserved. IDX information is provided exclusively for consumers' personal, non-commercial use and may not be used for any purpose other than to identify prospective properties consumers may be interested in purchasing. Information is deemed reliable but is not guaranteed accurate by the MLS or Sloan Realty Group. The data relating to real estate for sale or lease on this web site comes in part from CCAR. Real estate listings held by brokerage firms other than Sloan Realty Group are marked with the CCAR logo or an abbreviated logo and detailed information about them includes the name of the listing broker. Data last updated: 2026-01-20T13:20:55.153.
www.myrtlebeachrealestatedeals.com/homes/170985439
Print Image

1670 Heritage Rd. Loris, SC 29569

  • Price: $69,900
  • Status: Active Under Contract
  • On Site: 49 Days
  • Updated: 41 min ago
  • MLS #: 2528456
0
Beds
0
Baths
0
½ Baths
0.51
Acres
Neighborhood:
Not within a Subdivision
County:
Horry
Area:
02A Loris Area--central includes city of Loris
Elementary School:
Loris Elementary School
Middle School:
Loris Middle School
High School:
Loris High School
Property Description
OFFERED FOR SALE: This Lot is a Total of approximately 0.51 Acres ready for Development. This Lot is located on Heritage Road in Loris, SC. This Lot has 99' of direct road frontage. Perfect for a Local Builder, or someone who would want a Large Country Lot. This Lot is located 3.10 Miles to Highway 9, and 3.4 Miles to the Heart of Downtown Loris. Easements are in place for access to the back lots, as well as for underground utilities. Grand Strand Water and Sewer Would provide service that does not require a Lift Station.
Exterior Features

Lot Features City Lot Irregular Lot Road Frontage Type County Road

Property Features

Association Fee 0 Association Fee Frequency Monthly Association YN No Documents Available Plat Survey Lease Considered YN No Listing Terms Cash Conventional Location Inside City Limits Property Sub Type Residential Property Sub Type Additional Residential Unimproved Land Sewer Public Sewer Special Listing Conditions None Water Source Public Zoning FA

Coastal Carolina Association of Realtors logo Listing information © 2026 Coastal Carolinas Association of REALTORS® MLS. Listing provided by BHHS Myrtle Beach Real Estate:Cell: 843-455-0362.


Coastal Carolina Association of Realtors logo© 2026 Coastal Carolinas Association of REALTORS® MLS. All rights reserved. IDX information is provided exclusively for consumers' personal, non-commercial use and may not be used for any purpose other than to identify prospective properties consumers may be interested in purchasing. Information is deemed reliable but is not guaranteed accurate by the MLS or Sloan Realty Group. The data relating to real estate for sale or lease on this web site comes in part from CCAR. Real estate listings held by brokerage firms other than Sloan Realty Group are marked with the CCAR logo or an abbreviated logo and detailed information about them includes the name of the listing broker. Data last updated: 2026-01-20T13:20:55.153.
 
https://bt-photos.global.ssl.fastly.net/ccar/orig_boomver_1_2528456-2.jpg https://bt-photos.global.ssl.fastly.net/ccar/orig_boomver_1_2528456-2.jpg https://bt-photos.global.ssl.fastly.net/ccar/orig_boomver_1_2528456-2.jpg
Logo
Sloan Realty Group
3120 Waccamaw Blvd Ste C
Myrtle Beach SC, 29579